Tag Archives: Disaster Recovery

Prime, continious, and standby generator power requirements in combination with rental power solutions.

Backup Power Strategies After Hurricanes and Wildfires: Lessons in Resilience and Business Continuity

Extreme weather events are reshaping how businesses and critical infrastructure approach power security. From hurricanes  ...

Generator Rentals vs. Purchases: Which Is Right for Your Project?

Should you rent a generator or purchase one? Both options have advantages, depending on the  ...

Less Than Three Months to Hurricane Season: Will Your Business Be Ready When the Lights Go Out?

Here’s the harsh reality: Over 40% of small businesses never reopen after a disaster. If  ...

Mobile Diesel Generators for Hurricane Relief and Rebuilding

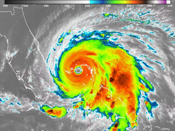
NOAA “Milton” Wind Speed Probabilities Oct 7 2024 Extreme weather power outages are on the  ...

Preparing for Hurricane Season: Why Businesses Need a Reliable Backup Power Solution

Hurricanes are a concern for businesses because they cause widespread power outages, disrupt operations, threaten  ...

Wildfires in the West: History and Lessons from PG&E’s Responses

Wildfires and other extreme weather events can have tremendous impacts on businesses. Disrupting access to  ...

Updated Hurricane Forecast, Emergency Power Preparedness for Extreme Weather

NOAA forecasters predict there could be hurricanes, tropical storms, and extreme weather still to come  ...

New 500 kVA and 1MW UPS Rental Trailer Fleet Expansion

Global Power announces the availability of its expanded UPS rental trailer fleet with Toshiba G9000  ...

11 Named Storms (and Counting) Make U.S. Landfall

Extended power outages can have serious effects on the ability of businesses to power their  ...

5 Key Steps to Properly Size a 3-Phase UPS System

Who is Using 2MW+ of Emergency Power Today and Why

Video of 3250kW Standby Diesel Power to Texas Data Center

Global Power Supply is proud to announce the installation of a new MTU 3250 kW  ...

Hurricanes & Rental Generators

An offsite generator rental secures a rental that is deployed from an area or location  ...

7 Advantages of Natural Gas Generators in Emergency Standby Power Applications

Diesel fueled generators have traditionally been the standard in emergency backup power systems.

Backup Generator Power 4 Signs You’ll Need It This Summer

The power industry outlook for 2018 has many signs of being a fast paced and  ...

Grid is Under-Prepared for an Above Average Hurricane Season

We can all see the effects of Hurricanes on critical infrastructure this season.

7 UPS Battery Failures and the Need for UPS Preventive Maintenance Planning

UPS batteries fail in less than half the time stipulated by the manufacturer when those  ...

One Bad Storm Will Leave You Powerless!

Hurricane season begins June 1st. Is nine days enough time to find an emergency backup  ...

7 Tips for Diesel Generators in Emergency Preparedness

Diesel Technology Forum in March of 2013 on Preserving Public Health and Safety: The Role  ...